HomeNews

News Search

Results:
Tag: Keesler AFB
Clear
  • Wellness for mission success – create balance

    Finding balance and fulfilling all of life’s demands can be difficult for anyone, but reserve Airmen have an extra layer they weave into their lives. This layer involves giving away one of their weekends every month, completing rigorous training and being prepared for the potential to have to drop everything else to serve their country.
  • Mathies NCOA: Developing enlisted leaders

    More than 750 NCOs walk through the double doors of the Mathies NCO Academy on Keesler Air Force Base, Mississippi, every year. After six weeks, they walk out ready to make their Air Force a better, more capable organization.
  • Wellness for mission success – manage stress

    This is the second in a four-part series on how individual wellness contributes to mission success and why it’s beneficial for Reserve Citizen Airmen to preserve health, manage stress, create balance and find meaning.
  • Air Force, Army, Navy personnel participate in joint training

    Members of the 41st Aerial Port Squadron and other Air Force, Army and Navy units teamed up for a joint training scenario called GRIP III Breaking Barriers Jan. 5-7, 2018, at Keesler Air Force Base, Mississippi and at the Gulfport Combat Readiness Training Center – Battlefield Airman Center.
  • Wellness for mission success

    Physical health is at the core of a person’s ability to complete their mission. If they are injured or sick, or exhausted, they might be able to show up and do work, but their effectiveness will be diminished.
  • Advisor serves as career guidebook

    Hikers who climb a mountain without a guidebook could probably still reach the summit, but they might run into obstacles they could have avoided, or miss things like shortcuts and unique landmarks. Career assistance advisors are like a guidebook. They can help Airmen avoid obstacles, find the shortest path to where they want to be in their careers and discover enriching stops along the way.
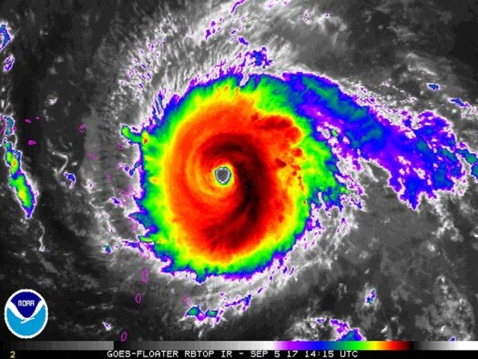
  • Hurricane Hunters close intense 2017 season

    As massive spirals of lightning, wind and rain, hurricanes are some of the most dangerous and destructive forces in nature. And the Air Force Reserve Hurricane Hunters fly directly into the center of them.
  • Continuum of Learning: Creating life-long learners

    Keesler Air Force Base’s 336th Training Squadron has begun developing multiple initiatives aimed at improving the learning experience of Airmen who are fresh out of basic military training.
  • ART of the mission: the air reserve technician

    The Air Force has a full complement of people working to accomplish the Air Force mission of fly, fight and win in air, space and cyberspace. The Air Force Reserve plays a vital role in this mission, supplying combat-ready forces to work alongside their active-duty counterparts in both wartime and peacetime scenarios.
  • Flying Jennies ready for combat airlift mission

    In Greek mythology, a phoenix is a bird that obtains new life by rising from the ashes. Many members of the 815th Airlift Squadron might be able to relate to this tale of renewal or resurrection, except their symbol isn’t a legendary bird, but a hard-working and practical pack mule—a Flying Jenny.In 2013, times were uncertain for the 815th AS, a
  • 403rd Wing participates in Exercise Southern Strike 2018

    Three units from the 403rd Wing took part in Southern Strike 2018, an annual joint exercise held along the Mississippi Gulf Coast from Oct. 20 to Nov. 3, 2017.
  • Honor guard brings new perspective for Airman

    Some people see the honor guard when they’re performing their duties; attending funerals, parades, presenting colors and firing their rifles. They may not know what goes on behind the scenes, or what goes on in their minds. For Tech. Sgt. Benjamin Graham, Keesler Air Force Base Honor Guard Delta Flight noncommissioned officer in charge, the year-long honor guard contract was not what he expected it to be.
  • Wright celebrates MTL legacy, tours Keesler

    Chief Master Sgt. of the Air Force Kaleth O. Wright visited Keesler Air Force Base, Mississippi, to celebrate a ribbon cutting for the new Military Training Leader Course schoolhouse and to tour the base Oct. 23 - 25.
  • AF Week in Photos

    This week's photos feature Airmen from around the globe involved in activities supporting expeditionary operations and defending America. This weekly feature showcases the men and women of the Air Force.
  • Around the Air Force: Oct. 11

    On this look around the Air Force the Air Force hurricane cleanup efforts continue and the Pacific Air Forces Commander discusses PACAF’s mission. Hosted by Airman 1st Class Cory Kuttler.
  • AF Week in Photos

    This week's photos feature Airmen from around the globe involved in activities supporting expeditionary operations and defending America. This weekly feature showcases the men and women of the Air Force.
  • Mobility Airmen enhance partnerships during Pacific Airlift Rally

    The destructive power of Mother Nature has made headlines around the world, and every country is fighting its own war when it comes to natural disasters and humanitarian relief. To prepare for such events in the Indo-Asia-Pacific region, the U.S. Pacific Air Force and Sri Lanka Air Force co-hosted the Pacific Airlift Rally 2017, in Sri Lanka Sept. 11-15, 2017.
  • Airmen document Hurricane Irma with Hurricane Hunters

    It’s not often that Air Force reservists arrive at Unit Training Assembly “weekend drill,” and in short order find themselves flying into the eye of a hurricane, but that’s exactly what happened to Staff Sgts. Kyle Brasier and Corban Lundborg with the 4th Combat Camera Squadron, Joint Base Charleston.
  • Keesler medics ready to support Hurricane Irma relief efforts

    Medical Airmen from Keesler Air Force Base are standing by to support Hurricane Irma relief efforts if called upon.Fresh off of a deployment to Houston, to support Hurricane Harvey relief efforts, a critical care air transport team is standing by to provide the same capability to those affected by Irma.A CCATT and a medical logistics team from the
  • Keesler AFB PERSCO team preps to support Harvey relief effort

    A six-person Personnel Support for Contingency Operations team made up of 81st Force Support Squadron members is set to deploy from here this weekend to Texas to support Hurricane Harvey relief and recovery efforts.
RSS

Engage

Twitter
RT @PACAF: #BTF is at it again! This time they integrated with @JASDF_PAO AND @USMC fighters to support a #FreeandopenIndoPacific @INDOPAC
Twitter
RT @GenCQBrownJr: Air dominance starts here. https://t.co/h7uNB5ykNb
Twitter
.@SecAFOfficial Frank Kendall directed COVID-19 vaccination implementation guidelines for Department of the Air Fo… https://t.co/3zoOOrdbxD
Twitter
Vax Facts Curious about the #COVID19 vaccine? Here are some facts to help burst a few #COVID vaccine myths. Learn… https://t.co/cZE93NAW3x
Twitter
RT @SecAFOfficial: Thank you to the senators, representatives & staffers who welcomed the @USAirForce leadership team to #CapitolHill yeste…
Twitter
RT @UnderSecAF: Honored to celebrate the Air Force’s 74th Birthday alongside our Congressional leaders. They’re key partners in ensuring we…
Twitter
RT @GenCQBrownJr: Watch the three-part Laying the Foundation series here: https://t.co/VMHZwlSDt7 @CASI_Research #ActionOrderC. https://t.…
Twitter
C2IMERA was used in support of the Afghan Evacuation Op in Afghanistan. The Command & Control Incident Management… https://t.co/X28lHEqDhF
Twitter
.@SpecialTactics_ #Airmen joined in the Columbian-led search and rescue and disaster relief exercise Ángel de los A… https://t.co/LhzNgAcWxv
Twitter
Defenders and their K-9 counterparts at Osan Air Base, ROK, conducted flight training on a U.S. Army HH-60 Black Ha… https://t.co/F6GUONgFYk
Twitter
RT @UnderSecAF: I get at least one notification a day about a DAF teammate we have needlessly lost to COVID. We need to be mission ready—…
Twitter
.@SecAFOfficial, @GenCQBrownJr & @cmsaf_official visited Liberty Village @jointbasemdl, N.J. The team toured op cen… https://t.co/erJs60sYOi
Twitter
RT @GenCQBrownJr: Enjoyed speaking w/ Republic of Singapore Air Force CAF Maj. Gen. Kelvin Khong. The @USAirForce is grateful for Singapore…
Twitter
Members of the 33rd Rescue Squadron, @KadenaAirBase, Japan, recently participated in joint training with U.S. Marin… https://t.co/aef3q4JuoB
Twitter
RT @SecAFOfficial: Senior leaders, including SecAF Kendall, visited #TaskForceLiberty where active duty, Guard & Reserve service members ar…
Twitter
RT @USAFRecruiting: Why make just one mark on the world when you can make many? @usairforce @GenCQBrownJr https://t.co/xXidr8buDI
Twitter
RT @GenCQBrownJr: To ensure success -- or head off failure -- we must rapidly develop and deliver new capabilities. We must make difficult…
Twitter
.@RAFMildenhall #Airmen from the maintenance, intel, weather and security forces career fields worked together to g… https://t.co/WKQ7RvpIzP
Twitter
RT @GenCQBrownJr: The service members @USAF_EC, @jointbasemdl didn’t believe in impossible. They completely transformed an empty field and…
Twitter
Exercises like Falcon Leap 2020 allow better interoperability among other U.S. branches and international mission p… https://t.co/cML0OvNv3j
Facebook
The newest Air Force Podcast recently dropped. Listen to a small snippet of CMSAF Kaleth O. Wright talk with Staff Sgt. New about resiliency. Listen to the entire podcast on Youtube: https://go.usa.gov/xpnAD or Subscribe to The Air Force Podcast on iTunes: https://podcasts.apple.com/podcast/the-air-force-podcast/id1264107694?mt=2
Facebook
Our mantra, "Always ready!" It's the spirit we fly by! #B2Tuesday
Facebook
Need some motivation to get your week started off right? Listen as CMSAF Kaleth O. Wright weighs in...
Facebook
The U.S. Air Force Academy gives its cadets some unique opportunities. Ride along one of this opportunities.
Facebook
A United States Air Force KC-135 Stratotanker refuels an F-22 Raptor over northern Iraq, Nov. 6, 2019. U.S. Central Command operations deter adversaries and demonstrate support for allies and partners in the region. (Video by Staff Sgt. Daniel Snider)
Facebook
Although the Silver Star is the third-highest military medal, it's not given often. Today, TSgt Cody Smith was the 49th Special Tactics Airman to receive this medal since Sept. 11th, 2001. Read more of TSgt Smith's amazing story: https://www.airforcespecialtactics.af.mil/News/Article-Display/Article/2024815/special-tactics-airman-battled-through-injuries-awarded-silver-star/fbclid/IwAR2LZWwx1VHdTnQe39rIEBOuJS_0JvMQBBGt7I-E6zsxxn-Lx9387yu43Bc/ Cannon Air Force Base Air Force Special Operations Command United States Special Operations Command (USSOCOM) U.S. Department of Defense (DoD)
Facebook
Tune in as our Air Force musicians along with other military musicians are awarded the National Medal of Arts.
Facebook
Like Us
Twitter
1,379,111
Follow Us